犬と暮らす
UP DATE
セキ・くしゃみ・鼻水…それ、呼吸器の病気かもしれません!
セキ・くしゃみ・鼻水…それ、呼吸器の病気かもしれません!
今回のテーマは、寒い時期に気をつけたい「呼吸器の病気」。
「早期発見のコツ」や「治療法」、「診療費」について紹介します。
早期発見するには【セキ・くしゃみ・鼻水・呼吸の仕方】の4つをチェック!
呼吸器の病気は、セキ・くしゃみ・鼻水などの症状にあらわれやすいため、そうした症状がひとつでも見られたら早めの受診をオススメします。
そのほか、呼吸の仕方が病気のサインになることも。呼吸音がふだんと違う、ゼーゼーと口をあけて苦しそうに呼吸をしているなど、心配な様子が見られたら動物病院へ! 愛犬が呼吸している様子を音声付きの動画に録画し、診察のときに獣医師に見せると、診断の手がかりになることもあります。
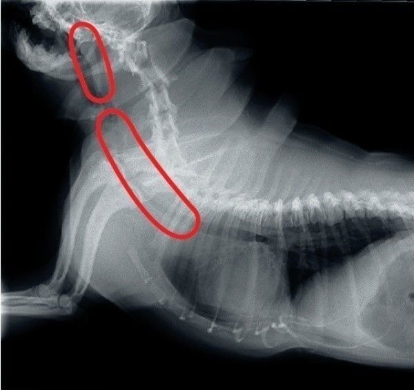
呼吸器の病気は、飼い主さんのチェックだけでは気づきにくいことがあり、動物病院でのレントゲン検査が必要になることも。シニア犬は半年に1回のペースで行うと安心です。
呼吸器の病気の治療中は、激しい運動はNG!
犬カゼでセキ・くしゃみ・鼻水などの症状が出ている場合は、症状に合わせて、炎症を抑える薬などを使って治療を行います。また、激しい運動を控えたり、興奮させすぎないようにすることも症状の緩和につながります。症状が軽ければ、通院だけで治療することが多いです。
気管虚脱の場合は、セキ止めや気管支を拡張する薬を使いながら、長く付き合っていくケースが一般的です。そのほか、気管がつぶれないようにする高度な外科手術で治療することもあります。
軟口蓋過長症や鼻の穴が極端に小さくなる外鼻孔狭窄は外科手術で空気の通り道を広げる処置が必要になることがあります。
呼吸器の病気になったら平均3万6356円かかる!?
出典:「いぬのきもち」2017年11月号『データで解析! 今月の予防したい犬の病気』
写真:フジタ動物病院/まいにちのいぬ・ねこのきもちアプリの投稿写真より
データ提供:アニコム損害保険株式会社
UP DATE
 
  
     
     
     
         
     
     
     
     
     
     
     
     
    